google-play-not-available-title

google-play-not-available-text

Animalia
Arthropoda
Insecta
Hemiptera
Coreidae
Leptoglossus
Leptoglossus occidentalis

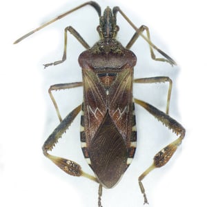
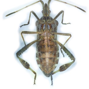
Western Conifer Seed Bug

Leptoglossus occidentalis
Lokale Schädlingsbekämpfung
Leptoglossus occidentalis
Mobile App
Ein Insektenspezialist
direkt in Ihrer Tasche
Download from AppStoreDownload from GooglePlayDownload from AppStore
Download from AppStore

Zusammenfassung

Der westliche Nadelbaumkäfer ("Leptoglossus occidentalis") ist eine Käferart aus der Familie der Koreiden (Coreidae). Es stammt aus Nordamerika westlich der Rocky Mountains (Kalifornien nach British Columbia, Osten nach Idaho und Nevada), hat aber in jüngster Zeit seine Reichweite nach Ost-Nordamerika erweitert, um Nova Scotia, Maine, Pennsylvania, Connecticut, Massachusetts und New Hampshire einzuschließen, und ist eine zufällig eingeführte Art in Teilen Europas geworden. Diese Art ist ein Mitglied der Insektenfamilie Coreidae oder Blattfußkäfer, zu der auch die ähnlichen Leptoglossus phyllopus und Acanthocephala femorata gehören, die beide als "Florida-Blattfußkäfer" bekannt sind. Westliche Nadelbaumwanzen werden manchmal umgangssprachlich Stinkwanzen genannt. Während sie ein übelriechendes Spray als Verteidigung verwenden, sind sie nicht in die Stink Bug Familie Pentatomidae klassifiziert. In Chile wurde es mit Kissing Bugs (Triatominae) verwechselt, was zu ungerechtfertigtem Alarm führte.

Eigenschaften

Farben

brown
yellow
black
white
orange
red

Größe

14mm bis 18mm (0,55 "bis 0,70")

Western Conifer Seed Bug

Leptoglossus occidentalis
Lokale Schädlingsbekämpfung

Stichworte

schädlich
Baumschädling
Gartenschädling
Ernteschädling
Schädling

Wissenschaftliche Klassifizierung

Die Leute fragen oft

Sind westliche Kiefernwanzen gefährlich?
Wie wird man Samenwanzen los?
Was fressen Samenwanzen?
Stinkt die westliche Kiefernwanze?
Was zieht den westlichen Kiefern-Samenwanze an?
Wie werde ich die Amerikanische Kiefernwanze los?
Wie lange lebt die westliche Kiefern-Samenwanze?
Woher kommt die westliche Kiefern-Samenwanze?
Was ist der wissenschaftliche Name des westlichen Kiefern-Samenkäfers?
Wie sieht die westliche Kiefern-Samenwanze aus?
Was ist der Lebensraum des westlichen Kiefern-Samenkäfers?
Was frisst die westliche Kiefern-Samenwanze?
Sind westliche Kiefernwanzen für Menschen schädlich?
Warum kommen westliche Kiefernwanzen in mein Haus?
Wie kann ich verhindern, dass die westliche Kiefern-Samenwanze in mein Haus gelangt?
Kann der westliche Kiefern-Samenkäfer mein Haus beschädigen?
Welche natürlichen Feinde hat die westliche Kiefern-Samenwanze?
Wie kann ich eine westliche Kiefern-Samenwanze sicher aus meinem Haus entfernen?
Zu welcher Jahreszeit paaren sich westliche Kiefernwanzen, legen Eier und schlüpfen?
Wie viele Eier kann ein weiblicher westlicher Kiefernzapfenwanze legen?
Was ist der Lebenszyklus eines westlichen Kiefern-Samenkäfers?
Wie lange dauert es, bis sich die westliche Kiefernwanze vom Ei zum Erwachsenen entwickelt?
Wie ist das Verhalten des westlichen Kiefernzapfenwanze?
Kann die westliche Kiefern-Samenwanze fliegen?
Was ist das Verbreitungsgebiet des westlichen Kiefern-Samenkäfers?
Was ist die wirtschaftliche Auswirkung des westlichen Kiefern- und Fichtensamenkäfers?
Werden westliche Kiefernwanzen als invasive Art betrachtet?
Wie werden westliche Kiefern-Samenwanzen in landwirtschaftlichen Umgebungen bekämpft?
Können westliche Kiefern-Samenwanzen Möbel oder Textilien befallen?
Können westliche Kiefern-Samenwanzen Lebensmittelprodukte befallen?
Wie lange kann die westliche Kiefernwanze ohne Nahrung überleben?
Kann der westliche Kiefern-Samenkäfer allergische Reaktionen beim Menschen auslösen?
Welche Rolle spielt die westliche Kiefernwanze im Ökosystem?
Wie groß sind die Populationen der westlichen Kiefern- und Fichtensamenwanze?
Werden westliche Kiefernwanzen von Licht angezogen?
Kann die westliche Kiefernwanze drinnen überleben?
Kann die westliche Kiefernwanze Schäden an Nadelbäumen verursachen?
Sind westliche Kiefern-Samenwanzen für den Menschen nützlich?

Beschreibung

Die durchschnittliche Länge beträgt 16-20 Millimeter (0,63–0,79 in) mit Männern kleiner als Frauen. Sie können fliegen und machen in der Luft ein summendes Geräusch. Westliche Nadelbaumkäfer ähneln im Aussehen dem Radkäfer (Arilus cristatus) und anderen Reduviidae (Assassin Bugs). Diese, die Cimicomorpha sind, sind nicht sehr eng mit blattfüßigen Käfern verwandt, wie Heteroptera gehen; obwohl beide einen Rüssel haben, aber nur die Assassinen-Käfer beißen, selbst wenn sie nicht provoziert werden, und L. occidentalis kann wie seine nächsten Verwandten am leichtesten an den erweiterten Hinterbein-Tibiae und an den abwechselnden hellen und dunklen Bändern erkannt werden, die entlang der äußeren Flügelkanten auf den abfackelnden Seiten des Bauches verlaufen. Ihre primäre Verteidigung ist es, ein unangenehm riechendes Alarmpheromon zu emittieren; jedoch, wenn sie grob behandelt werden, werden sie mit ihrem Rüssel stechen, obwohl sie kaum in der Lage sind, Menschen zu verletzen, da es nur dazu geeignet ist, Pflanzensaft zu saugen und nicht, wie bei den Assassinen, Gift injizieren.

Ökologie

In seinem heimischen Verbreitungsgebiet ernährt sich der westliche Nadelbaumkäfer während seines gesamten Lebens vom Saft sich entwickelnder Nadelbaumzapfen, und sein Saftsaugen führt dazu, dass die sich entwickelnden Samen verwelken und sich falsch entwickeln. Es gilt daher als kleiner Baumschädling in Nordamerika, wird aber manchmal schädlicher, z. B. in Nadelbaumplantagen. Es ist jedoch nicht monophag und sogar anpassungsfähig genug, um sich von Angiospermen zu ernähren, wenn es muss, obwohl es harzige Pflanzen zu bevorzugen scheint, die reich an Terpenen sind. Da diese von Pflanzen produziert werden, um Pflanzenfresser abzuschrecken, könnte es sein, dass L. occidentalis bei der Entwicklung seiner Fähigkeit, diese Abwehrkräfte zu überwinden, tatsächlich etwas von solchen Verbindungen abhängig wurde.Seine Wirtspflanzen im einheimischen Bereich umfassen Nadelbäume wie lodgepole Kiefer (Pinus contorta), Weißfichte (P. glauca) und Küste Douglasie (Pseudotsuga menziesii). Außerhalb des einheimischen Verbreitungsgebiets kommt es auf Arten wie östliche Weißkiefer (P. strobus) und Rotkiefer (P. resinosa) im Osten Nordamerikas und Europas vor, und Bergkiefer (P. mugo), Schwarzkiefer (P. nigra), Schottische Kiefer (P. sylvestris) und Pistazie (Pistacia vera) in Europa.Die Eier werden in kleinen Gruppen auf die Nadeln oder Blattstiele ihrer Wirtspflanzen gelegt und schlüpfen im Frühjahr. Die Nymphen durchlaufen 5 Instar-Stadien, bevor sie sich zu Erwachsenen mausern. In den Vereinigten Staaten ist die Art univoltin, aber in Südeuropa vervollständigt sie zwei Generationen pro Jahr und im tropischen Mexiko sogar drei. In den nördlichen Teilen seines Verbreitungsgebiets, Diese Käfer beginnen sich bis September weit zu bewegen, um Spalten zum Überwintern zu suchen; Sie können in Gebieten mit ausgedehnten Nadelwäldern zu einem Ärgernis werden, da sie manchmal in beträchtlicher Zahl in Häuser eindringen. Sie haben das Potenzial, strukturelle Schädlinge zu werden, da festgestellt wurde, dass sie manchmal PEX-Schläuche mit ihren Mundstücken durchstechen, was zu Leckagen führt. Reichweite und Invasivität Dieses Insekt ist in seiner Heimat entlang der gemäßigten und wärmeren Regionen der Pazifikküste Nordamerikas verbreitet und hat sich stetig nach Osten ausgeweitet. Auf seinem Heimatkontinent befindet sich L. occidentalis bis nach Nova Scotia.In Europa, diese Art wurde erstmals 1999 aus Norditalien gemeldet; Es war wahrscheinlich versehentlich mit Holz importiert worden und, wie es scheint, mehr als einmal, da seine Anwesenheit später aus diesem Land fast gleichzeitig von Orten in beträchtlicher Entfernung berichtet wurde. Bis 2007 hatte es sich auf dem nördlichen Balkan (Slowenien und Kroatien), den Alpen (Österreich, Schweiz) und Teilen der Tschechischen Republik, Frankreichs, Deutschlands und Ungarns etabliert; 2003 wurde es in Spanien gefunden, obwohl diese Population wahrscheinlich von einer separaten Einführung herrührt. Die 2007-Aufzeichnungen von Weymouth College (England) und Ostende (Belgien) könnten auch eine oder zwei weitere unabhängige Einführungen darstellen. Ende 2007 wurde es in Breslau und Miechów (Polen) gefunden; diese Tiere stellen wahrscheinlich eine weitere Verbreitungserweiterung außerhalb der Tschechischen Republik dar. Im Herbst 2008 kam ein großer Zustrom dieser Art an die Südküste Englands, was auf eine natürliche Einwanderung aus Kontinentaleuropa hindeutet. Ende 2009 drang eine große Gruppe westlicher Nadelbaumwanzen in die Koç-Universität in Istanbul, Türkei, ein. Das Gleiche geschah im Oktober 2012 in den meisten Städten der französischen Alpen, wie Moûtiers. Im Jahr 2017 erscheint es zum ersten Mal in der südlichen Hemisphäre, mit mehreren Aufzeichnungen von Chile.It wurde auch erstmals 2008 aus Tokio, Japan, aufgenommen, und einige zusätzliche Aufzeichnungen aus Tokio und der Präfektur Kanagawa wurden bis 2009 hinzugefügt. Im Jahr 2010 wurde der erste Nachweis in der Ukraine, in Dniprorudne, und im nächsten Jahr in Russland, in Rostov-on-Don.In 2020 es wurde erstmals in Finnland berichtet.Oktober 2020 wurde die erste Sichtung in Andorra an iNaturalist gesendet, und im September wurde diese Art in Kozhukhovka in der Region Kiew gefunden. Ukraine.In Juni 2021 Agence France Presse berichtete über Verwüstungen, die durch den Käfer im Qsaybeh-Kiefernwald östlich von Beirut, Libanon, verursacht wurden und zum Zusammenbruch der Pinienkernproduktion führten.