google-play-not-available-title

google-play-not-available-text

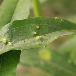
Mule Fat Blister Mite

Aceria baccharices
Local Pest Control
Aceria baccharices
Mobile App
An insect specialist
right in your pocket
Download from AppStoreDownload from GooglePlayDownload from AppStore
Download from AppStore

Summary

Aceria baccharices is a microscopic mite that belongs to the family Eriophyidae. It is commonly known as the blueberry bud mite. These mites infest blueberry plants, specifically targeting the buds and causing damage to the flowers and fruit. Infestations can lead to reduced yield and poor fruit quality.

Mule Fat Blister Mite

Aceria baccharices
Local Pest Control

Tags

harmful
tree pest
garden pest
crop pest
pest

Scientific classification

kingdom: Animalia
phylum: Arthropoda
class: Arachnida
order: Endeostigmata
family: Eriophyidae
genus: Aceria