Home
Application
Download
Find local pest control
en
EN
FR
ES
DE
Home
Application
Terms of Use
Privacy Policy
en
EN
FR
ES
DE
Copiright © Niro ID
google-play-not-available-title
google-play-not-available-text
google-play-not-available-send
Animalia
Arthropoda
Insecta
Hemiptera
Triozidae
Trioza
Trioza magnoliae
Animalia
...
Trioza magnoliae
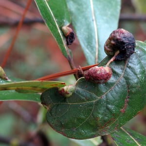
Red Bay Psyllid
Trioza magnoliae
Local Pest Control
Mobile App
An insect specialist
right in your pocket
Red Bay Psyllid
Trioza magnoliae
Local Pest Control
Content
Scientific classification
Scientific classification
kingdom:
Animalia
phylum:
Arthropoda
class:
Insecta
order:
Hemiptera
family:
Triozidae
genus:
Trioza