Home
Application
Download
Find local pest control
en
EN
FR
ES
DE
Home
Application
Terms of Use
Privacy Policy
en
EN
FR
ES
DE
Copiright © Niro ID
google-play-not-available-title
google-play-not-available-text
google-play-not-available-send
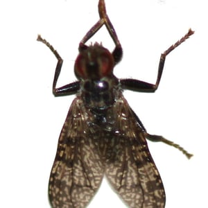
Animalia
Arthropoda
Insecta
Diptera
Pyrgotidae
Animalia
...
Pyrgotidae
Scarab Pursuing Flies
Pyrgotidae
Local Pest Control
Mobile App
An insect specialist
right in your pocket
Scarab Pursuing Flies
Pyrgotidae
Local Pest Control
Content
Scientific classification
Scientific classification
kingdom:
Animalia
phylum:
Arthropoda
class:
Insecta
order:
Diptera
Species
Waved Light Fly
Pyrgota undata
READ MORE