Home
Application
Herunterladen
Finden Sie lokale Schädlingsbekämpfung
de
EN
FR
ES
DE
Home
Application
Terms of Use
Privacy Policy
de
EN
FR
ES
DE
Copiright © Niro ID
google-play-not-available-title
google-play-not-available-text
google-play-not-available-send
Animalia
Arthropoda
Insecta
Coleoptera
Silvanidae
Oryzaephilus
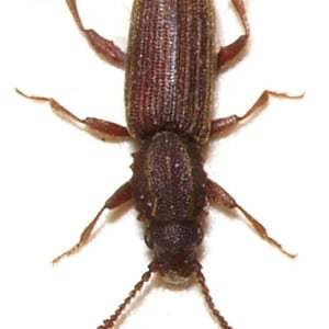
Oryzaephilus mercator
Animalia
...
Oryzaephilus mercator
Merchant Grain Beetle
Oryzaephilus mercator
Lokale Schädlingsbekämpfung
Mobile App
Ein Insektenspezialist
direkt in Ihrer Tasche
Merchant Grain Beetle
Oryzaephilus mercator
Lokale Schädlingsbekämpfung
Inhalt
Wissenschaftliche Klassifizierung
Wissenschaftliche Klassifizierung
kingdom:
Animalia
phylum:
Arthropoda
class:
Insecta
order:
Coleoptera
family:
Silvanidae
genus:
Oryzaephilus