google-play-not-available-title

google-play-not-available-text

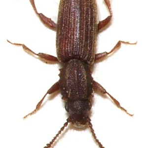
Oryzaephilus

Oryzaephilus
Lokale Schädlingsbekämpfung
Oryzaephilus
Mobile App
Ein Insektenspezialist
direkt in Ihrer Tasche
Download from AppStoreDownload from GooglePlayDownload from AppStore
Download from AppStore

Oryzaephilus

Oryzaephilus
Lokale Schädlingsbekämpfung

Wissenschaftliche Klassifizierung

kingdom: Animalia
phylum: Arthropoda
class: Insecta
order: Coleoptera
family: Silvanidae

Species

Oryzaephilus mercator

Merchant Grain Beetle

Oryzaephilus mercator

READ MORE
Oryzaephilus surinamensis

Sawtoothed Grain Beetle

Oryzaephilus surinamensis

READ MORE