google-play-not-available-title

google-play-not-available-text

Eumodicogryllus

Eumodicogryllus
Local Pest Control
Eumodicogryllus
Mobile App
An insect specialist
right in your pocket
Download from AppStoreDownload from GooglePlayDownload from AppStore
Download from AppStore

Summary

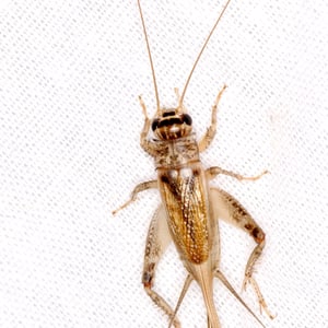
Eumodicogryllus is a small insect belonging to the family Gryllidae. It is commonly known as the "melodic cricket" due to its distinctive chirping sound. This insect is found in grassy areas and is known for its vibrant green coloration, which helps it blend in with its surroundings. Eumodicogryllus is primarily herbivorous, feeding on plant matter and occasionally small insects.

Eumodicogryllus

Eumodicogryllus
Local Pest Control

Scientific classification

kingdom: Animalia
phylum: Arthropoda
class: Insecta
order: Orthoptera
family: Gryllidae

Species

Eumodicogryllus bordigalensis

Verge Cricket

Eumodicogryllus bordigalensis

READ MORE