google-play-not-available-title

google-play-not-available-text

Verge Cricket

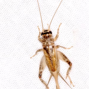
Eumodicogryllus bordigalensis
Local Pest Control
Eumodicogryllus bordigalensis
Mobile App
An insect specialist
right in your pocket
Download from AppStoreDownload from GooglePlayDownload from AppStore
Download from AppStore

Summary

Eumodicogryllus bordigalensis is a species of cricket found in the Mediterranean region. It is known for its distinctive black and brown coloration, with a robust body measuring around 2-3 centimeters in length. This insect is primarily nocturnal and produces a characteristic chirping sound to attract mates. Eumodicogryllus bordigalensis is commonly found in grassy areas and agricultural fields, where it feeds on plant matter and small insects.

Verge Cricket

Eumodicogryllus bordigalensis
Local Pest Control

Tags

harmful
bite
garden pest
crop pest
pest

Scientific classification

kingdom: Animalia
phylum: Arthropoda
class: Insecta
order: Orthoptera
family: Gryllidae
genus: Eumodicogryllus

People often ask

At what age does bordeaux cricket start chirping?
How is bordeaux cricket born?
Does all bordeaux cricket have wings?
Does female bordeaux cricket make noise?
Where does bordeaux cricket usually live?
What is bordeaux cricket?
What is the size of bordeaux cricket?
What is the habitat of bordeaux cricket?
What does bordeaux cricket eat?
What is the lifespan of bordeaux cricket?
What is the scientific classification of bordeaux cricket?
What is the mating behavior of bordeaux cricket?
Is bordeaux cricket harmful to humans?
What is the range of bordeaux cricket?
Do bordeaux cricket have any predators?
What is the historical significance of bordeaux cricket?
What is the behavior of bordeaux cricket?
What is the physical appearance of bordeaux cricket?
How does bordeaux cricket communicate?
What is the role of bordeaux cricket in its ecosystem?
How does bordeaux cricket defend itself?
Is bordeaux cricket an invasive species?
What is the habitat destruction impact on bordeaux cricket?
How does bordeaux cricket adapt to its environment?
How does bordeaux cricket aid in pollination?
What are the subspecies of bordeaux cricket?
What is the anatomy of bordeaux cricket?
What is the mating season of bordeaux cricket?
What is the difference between male and female bordeaux cricket?
What is the flight pattern of bordeaux cricket?
Can bordeaux cricket swim?
What is the geographic range of bordeaux cricket?
How does bordeaux cricket maintain its body temperature?
What is the role of bordeaux cricket in pest control?
How does bordeaux cricket reproduce?