google-play-not-available-title

google-play-not-available-text

Chrysanthemum Lace Bug

Corythucha marmorata
Control de plagas locales
Corythucha marmorata
Aplicación móvil
Un especialista en insectos
directamente en tu bolsillo
Download from AppStoreDownload from GooglePlayDownload from AppStore
Download from AppStore

Resumen

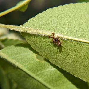
Corythucha marmorata, comúnmente conocida como la chinche encaje marmolada, es un pequeño insecto perteneciente a la familia Tingidae. Se caracteriza por su distintiva coloración moteada marrón y blanca, que se asemeja a patrones de mármol en sus alas y cuerpo. Este insecto se alimenta de la savia de varias plantas, causando daños en las hojas y resultando en punteado o decoloración. Originaria de Asia, se ha convertido en una especie invasora en muchas partes del mundo, incluyendo América del Norte y Europa.

Chrysanthemum Lace Bug

Corythucha marmorata
Control de plagas locales

Etiquetas

dañino
plaga de árboles
plaga de jardín
Plaga de cultivos
plaga

Clasificación científica

kingdom: Animalia
phylum: Arthropoda
class: Insecta
order: Hemiptera
family: Tingidae
genus: Corythucha

La gente pregunta a menudo

¿Qué come el insecto de encaje del crisantemo?
¿Qué es el insecto de encaje del crisantemo?
¿Cómo es el insecto de encaje del crisantemo?
¿Dónde se puede encontrar el insecto de encaje del crisantemo?
¿Cuál es el ciclo de vida del insecto de encaje del crisantemo?
¿De qué plantas se alimenta el insecto lace del crisantemo?
¿Cómo daña las plantas el insecto lace del crisantemo?
¿Cómo puedo saber si mis plantas están infestadas con el insecto de encaje del crisantemo?
¿Cómo puedo controlar el insecto de encaje del crisantemo?
¿Existen depredadores naturales del insecto lace del crisantemo?
¿Puede el insecto de encaje del crisantemo causar daño a los humanos?
¿Dónde puedo comprar jabón insecticida para controlar el insecto lace del crisantemo?
¿Existen métodos orgánicos para controlar el insecto de encaje del crisantemo?
¿Con qué frecuencia debo tratar mis plantas para el insecto de encaje del crisantemo?
¿Puede el insecto de encaje del crisantemo infestar otros tipos de plantas?
¿Cómo puedo evitar que el insecto de encaje del crisantemo infeste mis plantas?
¿Puede el insecto de encaje del crisantemo transmitirse de planta a planta?
¿Cuánto tiempo tardan en eclosionar los huevos del insecto de encaje del crisantemo?
¿Cuántas generaciones del insecto de encaje del crisantemo hay en un año?
¿Cuál es el nombre científico del insecto de encaje del crisantemo?
¿Cómo puedo diferenciar el insecto de encaje del crisantemo de otras plagas que infestan los crisantemos?
¿Cómo puedo atraer depredadores naturales del insecto de encaje del crisantemo a mi jardín?
¿Cuál es la esperanza de vida del insecto de encaje del crisantemo?
¿Prefiere el insecto de encaje del crisantemo ciertos tipos de crisantemos?
¿Cuánto tiempo tarda el insecto de encaje del crisantemo en alcanzar la edad adulta?
¿El insecto de encaje del crisantemo causa daños a largo plazo en las plantas?
¿Cómo puedo deshacerme de manera segura de las plantas infestadas con el insecto de encaje del crisantemo?
¿Puede el insecto de encaje del crisantemo ser transportado de una área a otra?
¿Se puede controlar el insecto de encaje del crisantemo sin el uso de pesticidas?
¿Cómo puedo identificar las ninfas del insecto de encaje del crisantemo?
¿Cómo puedo atraer insectos beneficiosos a mi jardín para controlar el insecto de encaje del crisantemo?