google-play-not-available-title

google-play-not-available-text

Corythucha

Corythucha
Control de plagas locales
Corythucha
Aplicación móvil
Un especialista en insectos
directamente en tu bolsillo
Download from AppStoreDownload from GooglePlayDownload from AppStore
Download from AppStore

Resumen

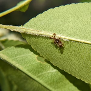
Corythucha es un género de insectos comúnmente conocidos como chinches encajeras. Pertenecen a la familia Tingidae y se caracterizan por sus delicadas alas en forma de encaje. Estos insectos se encuentran típicamente en el envés de las hojas, donde se alimentan de la savia de las plantas utilizando su aparato bucal de succión y perforación. Las especies de Corythucha pueden causar daños a las plantas al provocar decoloración y punteado en las hojas.

Corythucha

Corythucha
Control de plagas locales

Clasificación científica

kingdom: Animalia
phylum: Arthropoda
class: Insecta
order: Hemiptera
family: Tingidae

Species

Corythucha marmorata

Chrysanthemum Lace Bug

Corythucha marmorata

READ MORE
Corythucha ciliata

Eastern Sycamore Lace Bug

Corythucha ciliata

READ MORE